Ref : 996811-0
Vente Bureau
Locaux d'Activités à Vendre ou à Louer - Limas (69400) - 1650 m² divisibles à partir de 82 m²
Limas (69400)
Prix : 3 660 000 €
Surface 1 650 m²
Divisible dès 81 m²
Description du bien
MALSH Realty & Property vous propose à la vente ou à la location, 14 lots disponibles à Limas dans un nouveau parc clos et sécurisé en bordure du Boulevard Edouard Herriot, proche des entrée et sortie d'autoroute. Bureaux d'une surface totale d'environ 1650 m² divisibles à partir de 82 m² en RDC, R+1 et R+2. Plateau brut à aménager, fluides en attente.
Nombreux parkings extérieurs ou en sous-sol.
Terrasses pour chaque lot et 2 niveaux de parking souterrain.
Disponibilité immédiate !
Prestations du bien
- Site clos, sécurisé avec portail motorisé
- Bâtiment D :
- Construction de 2 000 m² de bureaux en R+2 Divisible à partir de 82 m²
- Terrasses
- Ascenseurs
- 2 niveaux de parking souterrain
- Plateau brut à aménager, fluides en attente
- Parties communes spacieuses
- Menuiseries alu équipées de brises soleil (sauf façade nord)
- Dallage béton brut
- Surface RDC : 600,6 m²
Informations financières
- Bail : commercial 3-6-9 ans
- Honoraires de commercialisation : 3 % HT du montant de la vente HT, à la charge de l'acquéreur
- Dépôt de garantie : 3 mois de loyer HT/HC
- Honoraires de commercialisation : 20 % HT du loyer annuel HT à la charge du preneur, payables à la signature du bail
Ce local professionnel vous est présenté par
Vous souhaitez nous joindre ?
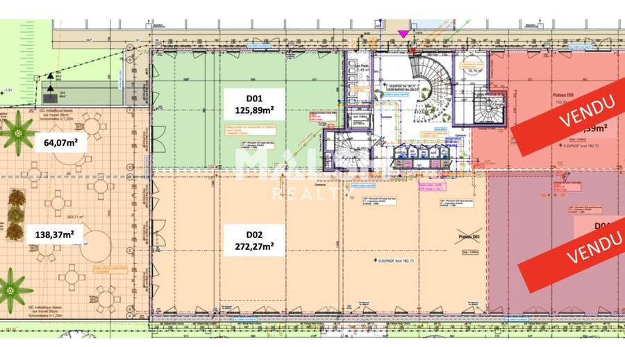
Surfaces des locaux
| Étage | Bâtiment | Type | Surfaces | Disponibilité | Loyer | Charges | Honoraires | Fiscal | Bail | Révision annuelle | Prix | Charges | Honoraires | Fiscal | Paiement Loyer | lot | Coworking | |
|---|---|---|---|---|---|---|---|---|---|---|---|---|---|---|---|---|---|---|
| RDC | Bureaux | 125,89 | 20 % HT du loyer annuel HT à la charge du preneur, payables à la signature du bail | T.V.A. (20%) | ILAT Indice des Loyers des Activités Tertiaires | 3 % HT du montant de la vente HT, à la charge de l'acquéreur | TVA | Trimestriel d'avance | ||||||||||
| RDC | Terrasse | 64,07 | 20 % HT du loyer annuel HT à la charge du preneur, payables à la signature du bail | T.V.A. (20%) | ILAT Indice des Loyers des Activités Tertiaires | 3 % HT du montant de la vente HT, à la charge de l'acquéreur | TVA | Trimestriel d'avance | ||||||||||
| Total Cellule D01 | Bureaux | 125,89 | Immédiate | 196,2 HT/HC/m²/an | 20 % HT du loyer annuel HT à la charge du preneur, payables à la signature du bail | T.V.A. (20%) | commercial 3-6-9 ans | ILAT Indice des Loyers des Activités Tertiaires | 2 303,6 HT/m² | 3 % HT du montant de la vente HT, à la charge de l'acquéreur | TVA | Trimestriel d'avance | D01 | |||||
| RDC | Bureaux | 272,27 | 20 % HT du loyer annuel HT à la charge du preneur, payables à la signature du bail | T.V.A. (20%) | ILAT Indice des Loyers des Activités Tertiaires | 3 % HT du montant de la vente HT, à la charge de l'acquéreur | TVA | Trimestriel d'avance | ||||||||||
| RDC | Terrasse | 138,37 | 20 % HT du loyer annuel HT à la charge du preneur, payables à la signature du bail | T.V.A. (20%) | ILAT Indice des Loyers des Activités Tertiaires | 3 % HT du montant de la vente HT, à la charge de l'acquéreur | TVA | Trimestriel d'avance | ||||||||||
| Total Cellule D02 | Bureaux | 272,27 | Immédiate | 196,13 HT/HC/m²/an | 20 % HT du loyer annuel HT à la charge du preneur, payables à la signature du bail | T.V.A. (20%) | commercial 3-6-9 ans | ILAT Indice des Loyers des Activités Tertiaires | 2 306,53 HT/m² | 3 % HT du montant de la vente HT, à la charge de l'acquéreur | TVA | Trimestriel d'avance | D02 | |||||
| 1 | Bureaux | 134,12 | 20 % HT du loyer annuel HT à la charge du preneur, payables à la signature du bail | T.V.A. (20%) | ILAT Indice des Loyers des Activités Tertiaires | 3 % HT du montant de la vente HT, à la charge de l'acquéreur | TVA | Trimestriel d'avance | ||||||||||
| 1 | Terrasse | 8,49 | 20 % HT du loyer annuel HT à la charge du preneur, payables à la signature du bail | T.V.A. (20%) | ILAT Indice des Loyers des Activités Tertiaires | 3 % HT du montant de la vente HT, à la charge de l'acquéreur | TVA | Trimestriel d'avance | ||||||||||
| Total Cellule D11 | Bureaux | 134,12 | Immédiate | 181,93 HT/HC/m²/an | 20 % HT du loyer annuel HT à la charge du preneur, payables à la signature du bail | T.V.A. (20%) | commercial 3-6-9 ans | ILAT Indice des Loyers des Activités Tertiaires | 2 139,87 HT/m² | 3 % HT du montant de la vente HT, à la charge de l'acquéreur | TVA | Trimestriel d'avance | D11 | |||||
| 1 | Bureaux | 108,01 | 20 % HT du loyer annuel HT à la charge du preneur, payables à la signature du bail | T.V.A. (20%) | ILAT Indice des Loyers des Activités Tertiaires | 3 % HT du montant de la vente HT, à la charge de l'acquéreur | TVA | Trimestriel d'avance | ||||||||||
| 1 | Terrasse | 8,49 | 20 % HT du loyer annuel HT à la charge du preneur, payables à la signature du bail | T.V.A. (20%) | ILAT Indice des Loyers des Activités Tertiaires | 3 % HT du montant de la vente HT, à la charge de l'acquéreur | TVA | Trimestriel d'avance | ||||||||||
| Total Cellule D12 | Bureaux | 108,01 | Immédiate | 183,32 HT/HC/m²/an | 20 % HT du loyer annuel HT à la charge du preneur, payables à la signature du bail | T.V.A. (20%) | commercial 3-6-9 ans | ILAT Indice des Loyers des Activités Tertiaires | 2 147,95 HT/m² | 3 % HT du montant de la vente HT, à la charge de l'acquéreur | TVA | Trimestriel d'avance | D12 | |||||
| 1 | Bureaux | 81,8 | 20 % HT du loyer annuel HT à la charge du preneur, payables à la signature du bail | T.V.A. (20%) | ILAT Indice des Loyers des Activités Tertiaires | 3 % HT du montant de la vente HT, à la charge de l'acquéreur | TVA | Trimestriel d'avance | ||||||||||
| 1 | Terrasse | 9,2 | 20 % HT du loyer annuel HT à la charge du preneur, payables à la signature du bail | T.V.A. (20%) | ILAT Indice des Loyers des Activités Tertiaires | 3 % HT du montant de la vente HT, à la charge de l'acquéreur | TVA | Trimestriel d'avance | ||||||||||
| Total Cellule D13 | Bureaux | 81,8 | Immédiate | 193,15 HT/HC/m²/an | 20 % HT du loyer annuel HT à la charge du preneur, payables à la signature du bail | T.V.A. (20%) | commercial 3-6-9 ans | ILAT Indice des Loyers des Activités Tertiaires | 2 261,61 HT/m² | 3 % HT du montant de la vente HT, à la charge de l'acquéreur | TVA | Trimestriel d'avance | D13 | |||||
| 1 | Bureaux | 82,71 | 20 % HT du loyer annuel HT à la charge du preneur, payables à la signature du bail | T.V.A. (20%) | ILAT Indice des Loyers des Activités Tertiaires | 3 % HT du montant de la vente HT, à la charge de l'acquéreur | TVA | Trimestriel d'avance | ||||||||||
| 1 | Terrasse | 9,35 | 20 % HT du loyer annuel HT à la charge du preneur, payables à la signature du bail | T.V.A. (20%) | ILAT Indice des Loyers des Activités Tertiaires | 3 % HT du montant de la vente HT, à la charge de l'acquéreur | TVA | Trimestriel d'avance | ||||||||||
| Total Cellule D14 | Bureaux | 82,71 | Immédiate | 191,03 HT/HC/m²/an | 20 % HT du loyer annuel HT à la charge du preneur, payables à la signature du bail | T.V.A. (20%) | commercial 3-6-9 ans | ILAT Indice des Loyers des Activités Tertiaires | 2 236,73 HT/m² | 3 % HT du montant de la vente HT, à la charge de l'acquéreur | TVA | Trimestriel d'avance | D14 | |||||
| 1 | Bureaux | 105,66 | 20 % HT du loyer annuel HT à la charge du preneur, payables à la signature du bail | T.V.A. (20%) | ILAT Indice des Loyers des Activités Tertiaires | 3 % HT du montant de la vente HT, à la charge de l'acquéreur | TVA | Trimestriel d'avance | ||||||||||
| 1 | Terrasse | 10,8 | 20 % HT du loyer annuel HT à la charge du preneur, payables à la signature du bail | T.V.A. (20%) | ILAT Indice des Loyers des Activités Tertiaires | 3 % HT du montant de la vente HT, à la charge de l'acquéreur | TVA | Trimestriel d'avance | ||||||||||
| Total Cellule D15 | Bureaux | 105,66 | Immédiate | 183,61 HT/HC/m²/an | 20 % HT du loyer annuel HT à la charge du preneur, payables à la signature du bail | T.V.A. (20%) | commercial 3-6-9 ans | ILAT Indice des Loyers des Activités Tertiaires | 2 157,86 HT/m² | 3 % HT du montant de la vente HT, à la charge de l'acquéreur | TVA | Trimestriel d'avance | D15 | |||||
| 1 | Bureaux | 123,77 | 20 % HT du loyer annuel HT à la charge du preneur, payables à la signature du bail | T.V.A. (20%) | ILAT Indice des Loyers des Activités Tertiaires | 3 % HT du montant de la vente HT, à la charge de l'acquéreur | TVA | Trimestriel d'avance | ||||||||||
| 1 | Terrasse | 8,41 | 20 % HT du loyer annuel HT à la charge du preneur, payables à la signature du bail | T.V.A. (20%) | ILAT Indice des Loyers des Activités Tertiaires | 3 % HT du montant de la vente HT, à la charge de l'acquéreur | TVA | Trimestriel d'avance | ||||||||||
| Total Cellule D16 | Bureaux | 123,77 | Immédiate | 182,6 HT/HC/m²/an | 20 % HT du loyer annuel HT à la charge du preneur, payables à la signature du bail | T.V.A. (20%) | commercial 3-6-9 ans | ILAT Indice des Loyers des Activités Tertiaires | 2 141,07 HT/m² | 3 % HT du montant de la vente HT, à la charge de l'acquéreur | TVA | Trimestriel d'avance | D16 | |||||
| 2 | Bureaux | 104,29 | 20 % HT du loyer annuel HT à la charge du preneur, payables à la signature du bail | T.V.A. (20%) | ILAT Indice des Loyers des Activités Tertiaires | 3 % HT du montant de la vente HT, à la charge de l'acquéreur | TVA | Trimestriel d'avance | ||||||||||
| 2 | Terrasse | 26,63 | 20 % HT du loyer annuel HT à la charge du preneur, payables à la signature du bail | T.V.A. (20%) | ILAT Indice des Loyers des Activités Tertiaires | 3 % HT du montant de la vente HT, à la charge de l'acquéreur | TVA | Trimestriel d'avance | ||||||||||
| Total Cellule D21 | Bureaux | 104,29 | Immédiate | 194,65 HT/HC/m²/an | 20 % HT du loyer annuel HT à la charge du preneur, payables à la signature du bail | T.V.A. (20%) | commercial 3-6-9 ans | ILAT Indice des Loyers des Activités Tertiaires | 2 282,1 HT/m² | 3 % HT du montant de la vente HT, à la charge de l'acquéreur | TVA | Trimestriel d'avance | D21 | |||||
| 2 | Bureaux | 118,07 | 20 % HT du loyer annuel HT à la charge du preneur, payables à la signature du bail | T.V.A. (20%) | ILAT Indice des Loyers des Activités Tertiaires | 3 % HT du montant de la vente HT, à la charge de l'acquéreur | TVA | Trimestriel d'avance | ||||||||||
| 2 | Terrasse | 10,68 | 20 % HT du loyer annuel HT à la charge du preneur, payables à la signature du bail | T.V.A. (20%) | ILAT Indice des Loyers des Activités Tertiaires | 3 % HT du montant de la vente HT, à la charge de l'acquéreur | TVA | Trimestriel d'avance | ||||||||||
| Total Cellule D22 | Bureaux | 118,07 | Immédiate | 184,64 HT/HC/m²/an | 20 % HT du loyer annuel HT à la charge du preneur, payables à la signature du bail | T.V.A. (20%) | commercial 3-6-9 ans | ILAT Indice des Loyers des Activités Tertiaires | 2 168,21 HT/m² | 3 % HT du montant de la vente HT, à la charge de l'acquéreur | TVA | Trimestriel d'avance | D22 | |||||
| 2 | Bureaux | 81,81 | 20 % HT du loyer annuel HT à la charge du preneur, payables à la signature du bail | T.V.A. (20%) | ILAT Indice des Loyers des Activités Tertiaires | 3 % HT du montant de la vente HT, à la charge de l'acquéreur | TVA | Trimestriel d'avance | ||||||||||
| 2 | Terrasse | 9,23 | 20 % HT du loyer annuel HT à la charge du preneur, payables à la signature du bail | T.V.A. (20%) | ILAT Indice des Loyers des Activités Tertiaires | 3 % HT du montant de la vente HT, à la charge de l'acquéreur | TVA | Trimestriel d'avance | ||||||||||
| Total Cellule D23 | Bureaux | 81,81 | Immédiate | 193,13 HT/HC/m²/an | 20 % HT du loyer annuel HT à la charge du preneur, payables à la signature du bail | T.V.A. (20%) | commercial 3-6-9 ans | ILAT Indice des Loyers des Activités Tertiaires | 2 261,34 HT/m² | 3 % HT du montant de la vente HT, à la charge de l'acquéreur | TVA | Trimestriel d'avance | D23 | |||||
| 2 | Bureaux | 82,71 | 20 % HT du loyer annuel HT à la charge du preneur, payables à la signature du bail | T.V.A. (20%) | ILAT Indice des Loyers des Activités Tertiaires | 3 % HT du montant de la vente HT, à la charge de l'acquéreur | TVA | Trimestriel d'avance | ||||||||||
| 2 | Terrasse | 9,12 | 20 % HT du loyer annuel HT à la charge du preneur, payables à la signature du bail | T.V.A. (20%) | ILAT Indice des Loyers des Activités Tertiaires | 3 % HT du montant de la vente HT, à la charge de l'acquéreur | TVA | Trimestriel d'avance | ||||||||||
| Total Cellule D24 | Bureaux | 82,71 | Immédiate | 199,04 HT/HC/m²/an | 20 % HT du loyer annuel HT à la charge du preneur, payables à la signature du bail | T.V.A. (20%) | commercial 3-6-9 ans | ILAT Indice des Loyers des Activités Tertiaires | 2 236,73 HT/m² | 3 % HT du montant de la vente HT, à la charge de l'acquéreur | TVA | Trimestriel d'avance | D24 | |||||
| 2 | Bureaux | 105,66 | 20 % HT du loyer annuel HT à la charge du preneur, payables à la signature du bail | T.V.A. (20%) | ILAT Indice des Loyers des Activités Tertiaires | 3 % HT du montant de la vente HT, à la charge de l'acquéreur | TVA | Trimestriel d'avance | ||||||||||
| 2 | Terrasse | 10,8 | 20 % HT du loyer annuel HT à la charge du preneur, payables à la signature du bail | T.V.A. (20%) | ILAT Indice des Loyers des Activités Tertiaires | 3 % HT du montant de la vente HT, à la charge de l'acquéreur | TVA | Trimestriel d'avance | ||||||||||
| Total Cellule D25 | Bureaux | 105,66 | Immédiate | 185,5 HT/HC/m²/an | 20 % HT du loyer annuel HT à la charge du preneur, payables à la signature du bail | T.V.A. (20%) | commercial 3-6-9 ans | ILAT Indice des Loyers des Activités Tertiaires | 2 176,79 HT/m² | 3 % HT du montant de la vente HT, à la charge de l'acquéreur | TVA | Trimestriel d'avance | D25 | |||||
| 2 | Bureaux | 123,75 | 20 % HT du loyer annuel HT à la charge du preneur, payables à la signature du bail | T.V.A. (20%) | ILAT Indice des Loyers des Activités Tertiaires | 3 % HT du montant de la vente HT, à la charge de l'acquéreur | TVA | Trimestriel d'avance | ||||||||||
| 2 | Terrasse | 8,41 | 20 % HT du loyer annuel HT à la charge du preneur, payables à la signature du bail | T.V.A. (20%) | ILAT Indice des Loyers des Activités Tertiaires | 3 % HT du montant de la vente HT, à la charge de l'acquéreur | TVA | Trimestriel d'avance | ||||||||||
| Total Cellule D26 | Bureaux | 123,75 | Immédiate | 183,43 HT/HC/m²/an | 20 % HT du loyer annuel HT à la charge du preneur, payables à la signature du bail | T.V.A. (20%) | commercial 3-6-9 ans | ILAT Indice des Loyers des Activités Tertiaires | 2 149,49 HT/m² | 3 % HT du montant de la vente HT, à la charge de l'acquéreur | TVA | Trimestriel d'avance | D26 | |||||
| RDC | Parkings | - | Immédiate | 450 HT/HC/U/an | 20 % HT du loyer annuel HT à la charge du preneur, payables à la signature du bail | T.V.A. (20%) | ILAT Indice des Loyers des Activités Tertiaires | 4 500 U HD | 3 % HT du montant de la vente HT, à la charge de l'acquéreur | TVA | Trimestriel d'avance | P Aérien | ||||||
| 1SS | Parkings | - | Immédiate | 1 550 HT/HC/U/an | 20 % HT du loyer annuel HT à la charge du preneur, payables à la signature du bail | T.V.A. (20%) | ILAT Indice des Loyers des Activités Tertiaires | 15 500 U HD | 3 % HT du montant de la vente HT, à la charge de l'acquéreur | TVA | Trimestriel d'avance | P s-s 1 | ||||||
| Total | 1 982,57 m² | |||||||||||||||||
Localisation et accessibilité
- SCNF: Villefranche sur Saône (SNCF), Quincieux (SNCF)
- Autoroute: A 500 m de la sortie A6 "Villefranche Sud"
Ces articles peuvent vous intéresser
| Étage | Bâtiment | Type | Surfaces | Disponibilité | Loyer | Charges | Honoraires | Fiscal | Bail | Révision annuelle | Prix | Charges | Honoraires | Fiscal | Paiement Loyer | lot | Coworking | |
|---|---|---|---|---|---|---|---|---|---|---|---|---|---|---|---|---|---|---|
| RDC | Bureaux | 125,89 | 20 % HT du loyer annuel HT à la charge du preneur, payables à la signature du bail | T.V.A. (20%) | ILAT Indice des Loyers des Activités Tertiaires | 3 % HT du montant de la vente HT, à la charge de l'acquéreur | TVA | Trimestriel d'avance | ||||||||||
| RDC | Terrasse | 64,07 | 20 % HT du loyer annuel HT à la charge du preneur, payables à la signature du bail | T.V.A. (20%) | ILAT Indice des Loyers des Activités Tertiaires | 3 % HT du montant de la vente HT, à la charge de l'acquéreur | TVA | Trimestriel d'avance | ||||||||||
| Total Cellule D01 | Bureaux | 125,89 | Immédiate | 196,2 HT/HC/m²/an | 20 % HT du loyer annuel HT à la charge du preneur, payables à la signature du bail | T.V.A. (20%) | commercial 3-6-9 ans | ILAT Indice des Loyers des Activités Tertiaires | 2 303,6 HT/m² | 3 % HT du montant de la vente HT, à la charge de l'acquéreur | TVA | Trimestriel d'avance | D01 | |||||
| RDC | Bureaux | 272,27 | 20 % HT du loyer annuel HT à la charge du preneur, payables à la signature du bail | T.V.A. (20%) | ILAT Indice des Loyers des Activités Tertiaires | 3 % HT du montant de la vente HT, à la charge de l'acquéreur | TVA | Trimestriel d'avance | ||||||||||
| RDC | Terrasse | 138,37 | 20 % HT du loyer annuel HT à la charge du preneur, payables à la signature du bail | T.V.A. (20%) | ILAT Indice des Loyers des Activités Tertiaires | 3 % HT du montant de la vente HT, à la charge de l'acquéreur | TVA | Trimestriel d'avance | ||||||||||
| Total Cellule D02 | Bureaux | 272,27 | Immédiate | 196,13 HT/HC/m²/an | 20 % HT du loyer annuel HT à la charge du preneur, payables à la signature du bail | T.V.A. (20%) | commercial 3-6-9 ans | ILAT Indice des Loyers des Activités Tertiaires | 2 306,53 HT/m² | 3 % HT du montant de la vente HT, à la charge de l'acquéreur | TVA | Trimestriel d'avance | D02 | |||||
| 1 | Bureaux | 134,12 | 20 % HT du loyer annuel HT à la charge du preneur, payables à la signature du bail | T.V.A. (20%) | ILAT Indice des Loyers des Activités Tertiaires | 3 % HT du montant de la vente HT, à la charge de l'acquéreur | TVA | Trimestriel d'avance | ||||||||||
| 1 | Terrasse | 8,49 | 20 % HT du loyer annuel HT à la charge du preneur, payables à la signature du bail | T.V.A. (20%) | ILAT Indice des Loyers des Activités Tertiaires | 3 % HT du montant de la vente HT, à la charge de l'acquéreur | TVA | Trimestriel d'avance | ||||||||||
| Total Cellule D11 | Bureaux | 134,12 | Immédiate | 181,93 HT/HC/m²/an | 20 % HT du loyer annuel HT à la charge du preneur, payables à la signature du bail | T.V.A. (20%) | commercial 3-6-9 ans | ILAT Indice des Loyers des Activités Tertiaires | 2 139,87 HT/m² | 3 % HT du montant de la vente HT, à la charge de l'acquéreur | TVA | Trimestriel d'avance | D11 | |||||
| 1 | Bureaux | 108,01 | 20 % HT du loyer annuel HT à la charge du preneur, payables à la signature du bail | T.V.A. (20%) | ILAT Indice des Loyers des Activités Tertiaires | 3 % HT du montant de la vente HT, à la charge de l'acquéreur | TVA | Trimestriel d'avance | ||||||||||
| 1 | Terrasse | 8,49 | 20 % HT du loyer annuel HT à la charge du preneur, payables à la signature du bail | T.V.A. (20%) | ILAT Indice des Loyers des Activités Tertiaires | 3 % HT du montant de la vente HT, à la charge de l'acquéreur | TVA | Trimestriel d'avance | ||||||||||
| Total Cellule D12 | Bureaux | 108,01 | Immédiate | 183,32 HT/HC/m²/an | 20 % HT du loyer annuel HT à la charge du preneur, payables à la signature du bail | T.V.A. (20%) | commercial 3-6-9 ans | ILAT Indice des Loyers des Activités Tertiaires | 2 147,95 HT/m² | 3 % HT du montant de la vente HT, à la charge de l'acquéreur | TVA | Trimestriel d'avance | D12 | |||||
| 1 | Bureaux | 81,8 | 20 % HT du loyer annuel HT à la charge du preneur, payables à la signature du bail | T.V.A. (20%) | ILAT Indice des Loyers des Activités Tertiaires | 3 % HT du montant de la vente HT, à la charge de l'acquéreur | TVA | Trimestriel d'avance | ||||||||||
| 1 | Terrasse | 9,2 | 20 % HT du loyer annuel HT à la charge du preneur, payables à la signature du bail | T.V.A. (20%) | ILAT Indice des Loyers des Activités Tertiaires | 3 % HT du montant de la vente HT, à la charge de l'acquéreur | TVA | Trimestriel d'avance | ||||||||||
| Total Cellule D13 | Bureaux | 81,8 | Immédiate | 193,15 HT/HC/m²/an | 20 % HT du loyer annuel HT à la charge du preneur, payables à la signature du bail | T.V.A. (20%) | commercial 3-6-9 ans | ILAT Indice des Loyers des Activités Tertiaires | 2 261,61 HT/m² | 3 % HT du montant de la vente HT, à la charge de l'acquéreur | TVA | Trimestriel d'avance | D13 | |||||
| 1 | Bureaux | 82,71 | 20 % HT du loyer annuel HT à la charge du preneur, payables à la signature du bail | T.V.A. (20%) | ILAT Indice des Loyers des Activités Tertiaires | 3 % HT du montant de la vente HT, à la charge de l'acquéreur | TVA | Trimestriel d'avance | ||||||||||
| 1 | Terrasse | 9,35 | 20 % HT du loyer annuel HT à la charge du preneur, payables à la signature du bail | T.V.A. (20%) | ILAT Indice des Loyers des Activités Tertiaires | 3 % HT du montant de la vente HT, à la charge de l'acquéreur | TVA | Trimestriel d'avance | ||||||||||
| Total Cellule D14 | Bureaux | 82,71 | Immédiate | 191,03 HT/HC/m²/an | 20 % HT du loyer annuel HT à la charge du preneur, payables à la signature du bail | T.V.A. (20%) | commercial 3-6-9 ans | ILAT Indice des Loyers des Activités Tertiaires | 2 236,73 HT/m² | 3 % HT du montant de la vente HT, à la charge de l'acquéreur | TVA | Trimestriel d'avance | D14 | |||||
| 1 | Bureaux | 105,66 | 20 % HT du loyer annuel HT à la charge du preneur, payables à la signature du bail | T.V.A. (20%) | ILAT Indice des Loyers des Activités Tertiaires | 3 % HT du montant de la vente HT, à la charge de l'acquéreur | TVA | Trimestriel d'avance | ||||||||||
| 1 | Terrasse | 10,8 | 20 % HT du loyer annuel HT à la charge du preneur, payables à la signature du bail | T.V.A. (20%) | ILAT Indice des Loyers des Activités Tertiaires | 3 % HT du montant de la vente HT, à la charge de l'acquéreur | TVA | Trimestriel d'avance | ||||||||||
| Total Cellule D15 | Bureaux | 105,66 | Immédiate | 183,61 HT/HC/m²/an | 20 % HT du loyer annuel HT à la charge du preneur, payables à la signature du bail | T.V.A. (20%) | commercial 3-6-9 ans | ILAT Indice des Loyers des Activités Tertiaires | 2 157,86 HT/m² | 3 % HT du montant de la vente HT, à la charge de l'acquéreur | TVA | Trimestriel d'avance | D15 | |||||
| 1 | Bureaux | 123,77 | 20 % HT du loyer annuel HT à la charge du preneur, payables à la signature du bail | T.V.A. (20%) | ILAT Indice des Loyers des Activités Tertiaires | 3 % HT du montant de la vente HT, à la charge de l'acquéreur | TVA | Trimestriel d'avance | ||||||||||
| 1 | Terrasse | 8,41 | 20 % HT du loyer annuel HT à la charge du preneur, payables à la signature du bail | T.V.A. (20%) | ILAT Indice des Loyers des Activités Tertiaires | 3 % HT du montant de la vente HT, à la charge de l'acquéreur | TVA | Trimestriel d'avance | ||||||||||
| Total Cellule D16 | Bureaux | 123,77 | Immédiate | 182,6 HT/HC/m²/an | 20 % HT du loyer annuel HT à la charge du preneur, payables à la signature du bail | T.V.A. (20%) | commercial 3-6-9 ans | ILAT Indice des Loyers des Activités Tertiaires | 2 141,07 HT/m² | 3 % HT du montant de la vente HT, à la charge de l'acquéreur | TVA | Trimestriel d'avance | D16 | |||||
| 2 | Bureaux | 104,29 | 20 % HT du loyer annuel HT à la charge du preneur, payables à la signature du bail | T.V.A. (20%) | ILAT Indice des Loyers des Activités Tertiaires | 3 % HT du montant de la vente HT, à la charge de l'acquéreur | TVA | Trimestriel d'avance | ||||||||||
| 2 | Terrasse | 26,63 | 20 % HT du loyer annuel HT à la charge du preneur, payables à la signature du bail | T.V.A. (20%) | ILAT Indice des Loyers des Activités Tertiaires | 3 % HT du montant de la vente HT, à la charge de l'acquéreur | TVA | Trimestriel d'avance | ||||||||||
| Total Cellule D21 | Bureaux | 104,29 | Immédiate | 194,65 HT/HC/m²/an | 20 % HT du loyer annuel HT à la charge du preneur, payables à la signature du bail | T.V.A. (20%) | commercial 3-6-9 ans | ILAT Indice des Loyers des Activités Tertiaires | 2 282,1 HT/m² | 3 % HT du montant de la vente HT, à la charge de l'acquéreur | TVA | Trimestriel d'avance | D21 | |||||
| 2 | Bureaux | 118,07 | 20 % HT du loyer annuel HT à la charge du preneur, payables à la signature du bail | T.V.A. (20%) | ILAT Indice des Loyers des Activités Tertiaires | 3 % HT du montant de la vente HT, à la charge de l'acquéreur | TVA | Trimestriel d'avance | ||||||||||
| 2 | Terrasse | 10,68 | 20 % HT du loyer annuel HT à la charge du preneur, payables à la signature du bail | T.V.A. (20%) | ILAT Indice des Loyers des Activités Tertiaires | 3 % HT du montant de la vente HT, à la charge de l'acquéreur | TVA | Trimestriel d'avance | ||||||||||
| Total Cellule D22 | Bureaux | 118,07 | Immédiate | 184,64 HT/HC/m²/an | 20 % HT du loyer annuel HT à la charge du preneur, payables à la signature du bail | T.V.A. (20%) | commercial 3-6-9 ans | ILAT Indice des Loyers des Activités Tertiaires | 2 168,21 HT/m² | 3 % HT du montant de la vente HT, à la charge de l'acquéreur | TVA | Trimestriel d'avance | D22 | |||||
| 2 | Bureaux | 81,81 | 20 % HT du loyer annuel HT à la charge du preneur, payables à la signature du bail | T.V.A. (20%) | ILAT Indice des Loyers des Activités Tertiaires | 3 % HT du montant de la vente HT, à la charge de l'acquéreur | TVA | Trimestriel d'avance | ||||||||||
| 2 | Terrasse | 9,23 | 20 % HT du loyer annuel HT à la charge du preneur, payables à la signature du bail | T.V.A. (20%) | ILAT Indice des Loyers des Activités Tertiaires | 3 % HT du montant de la vente HT, à la charge de l'acquéreur | TVA | Trimestriel d'avance | ||||||||||
| Total Cellule D23 | Bureaux | 81,81 | Immédiate | 193,13 HT/HC/m²/an | 20 % HT du loyer annuel HT à la charge du preneur, payables à la signature du bail | T.V.A. (20%) | commercial 3-6-9 ans | ILAT Indice des Loyers des Activités Tertiaires | 2 261,34 HT/m² | 3 % HT du montant de la vente HT, à la charge de l'acquéreur | TVA | Trimestriel d'avance | D23 | |||||
| 2 | Bureaux | 82,71 | 20 % HT du loyer annuel HT à la charge du preneur, payables à la signature du bail | T.V.A. (20%) | ILAT Indice des Loyers des Activités Tertiaires | 3 % HT du montant de la vente HT, à la charge de l'acquéreur | TVA | Trimestriel d'avance | ||||||||||
| 2 | Terrasse | 9,12 | 20 % HT du loyer annuel HT à la charge du preneur, payables à la signature du bail | T.V.A. (20%) | ILAT Indice des Loyers des Activités Tertiaires | 3 % HT du montant de la vente HT, à la charge de l'acquéreur | TVA | Trimestriel d'avance | ||||||||||
| Total Cellule D24 | Bureaux | 82,71 | Immédiate | 199,04 HT/HC/m²/an | 20 % HT du loyer annuel HT à la charge du preneur, payables à la signature du bail | T.V.A. (20%) | commercial 3-6-9 ans | ILAT Indice des Loyers des Activités Tertiaires | 2 236,73 HT/m² | 3 % HT du montant de la vente HT, à la charge de l'acquéreur | TVA | Trimestriel d'avance | D24 | |||||
| 2 | Bureaux | 105,66 | 20 % HT du loyer annuel HT à la charge du preneur, payables à la signature du bail | T.V.A. (20%) | ILAT Indice des Loyers des Activités Tertiaires | 3 % HT du montant de la vente HT, à la charge de l'acquéreur | TVA | Trimestriel d'avance | ||||||||||
| 2 | Terrasse | 10,8 | 20 % HT du loyer annuel HT à la charge du preneur, payables à la signature du bail | T.V.A. (20%) | ILAT Indice des Loyers des Activités Tertiaires | 3 % HT du montant de la vente HT, à la charge de l'acquéreur | TVA | Trimestriel d'avance | ||||||||||
| Total Cellule D25 | Bureaux | 105,66 | Immédiate | 185,5 HT/HC/m²/an | 20 % HT du loyer annuel HT à la charge du preneur, payables à la signature du bail | T.V.A. (20%) | commercial 3-6-9 ans | ILAT Indice des Loyers des Activités Tertiaires | 2 176,79 HT/m² | 3 % HT du montant de la vente HT, à la charge de l'acquéreur | TVA | Trimestriel d'avance | D25 | |||||
| 2 | Bureaux | 123,75 | 20 % HT du loyer annuel HT à la charge du preneur, payables à la signature du bail | T.V.A. (20%) | ILAT Indice des Loyers des Activités Tertiaires | 3 % HT du montant de la vente HT, à la charge de l'acquéreur | TVA | Trimestriel d'avance | ||||||||||
| 2 | Terrasse | 8,41 | 20 % HT du loyer annuel HT à la charge du preneur, payables à la signature du bail | T.V.A. (20%) | ILAT Indice des Loyers des Activités Tertiaires | 3 % HT du montant de la vente HT, à la charge de l'acquéreur | TVA | Trimestriel d'avance | ||||||||||
| Total Cellule D26 | Bureaux | 123,75 | Immédiate | 183,43 HT/HC/m²/an | 20 % HT du loyer annuel HT à la charge du preneur, payables à la signature du bail | T.V.A. (20%) | commercial 3-6-9 ans | ILAT Indice des Loyers des Activités Tertiaires | 2 149,49 HT/m² | 3 % HT du montant de la vente HT, à la charge de l'acquéreur | TVA | Trimestriel d'avance | D26 | |||||
| RDC | Parkings | - | Immédiate | 450 HT/HC/U/an | 20 % HT du loyer annuel HT à la charge du preneur, payables à la signature du bail | T.V.A. (20%) | ILAT Indice des Loyers des Activités Tertiaires | 4 500 U HD | 3 % HT du montant de la vente HT, à la charge de l'acquéreur | TVA | Trimestriel d'avance | P Aérien | ||||||
| 1SS | Parkings | - | Immédiate | 1 550 HT/HC/U/an | 20 % HT du loyer annuel HT à la charge du preneur, payables à la signature du bail | T.V.A. (20%) | ILAT Indice des Loyers des Activités Tertiaires | 15 500 U HD | 3 % HT du montant de la vente HT, à la charge de l'acquéreur | TVA | Trimestriel d'avance | P s-s 1 | ||||||
| Total | 1 982,57 m² | |||||||||||||||||

























































